その他
2025.11.16
入って10秒で!?!?
- 天気
-
晴れ
- 気温
-
最低
22℃
最高29℃
- 風向
-
北東
- 水温
-
26℃℃
- 波
-
2m
はいさーい!
りゅういちです!
今日は、お誕生日の方がいらっしゃいましたーー!
チンさんおめでとうございます!!🎊
海から、いいプレゼントはあるかな??

▼△▼△▼△▼△▼△▼△▼△▼△▼△▼△▼△▼△▼△▼△▼△▼△▼
2025年度からの新しいご案内がございます。あらかじめご確認お願い致します。
◆<デジタル化の導入>
▼△▼△▼△▼△▼△▼△▼△▼△▼△▼△▼△▼△▼△▼△▼△▼△▼△▼△
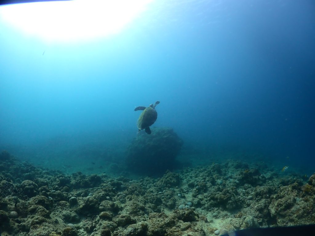
なんと、1本目……
入って10秒で…….
マンタだあああああああああ!!
マンタ ポイントじゃないのに!!
ちょーーーラッキーーでした!
お誕生日の方が一番近くで
見れました!!
海からの素敵なプレゼント🎁

今年は、黒色のハダカハオコゼが
安定に見れています!

まだ居たのか!!
擬態がすごい上手い
オオモンカエルアンコウ!

少し、深場に行くと….
ジョーフィッシュが
穴からひょっこり♡

まさかのアカククリの幼魚も
まだ、居ました!!
先日の台風で飛ばされたかと
思っていました….
よかった〜

我々を見つけるや否や
ダッシュで逃げられましたが…

疲れたのか、すぐ戻ってきて
寝ました(笑)

さて、ラストは…..
なかなか
この季節に行けない川平のマンタ
ポイントへ頑張って行ってきました!
・
入ってすぐに
カマスの群れをGET!!
幸先がよろしい!!

そういえば….ここのところ
マンタをちゃんと見てないな〜….
最後に見たのもいつか
覚えてない…..
絶対に見ないと!!
・
・
マンタ根に着くと…….
・
・
・
・
いたあああああああああああ!!!

それから枚数は増え
MAX4枚見れました!!
久々に見れて良かった〜😊

最後にお楽しみのランチタイム〜🍔
今日は、豚三枚肉そば&じゅーしーおにぎりでした!

今日もいい1日でした!
明日も楽しく、のんびり、安全第一で行ってきます!
・
それではまた!
▼△▼△▼△▼△▼△▼△▼△▼△▼△▼△▼△▼△▼△▼△▼△▼△▼△▼
以前、新しく水色のTーシャツを作りましたが、ありがたいことに大好評で残りわずかになりました!
ありがとうございます😊
あまりにも好評でしたので、新しく違うカラーで作りましたー!!
今回はオリーブ色です!
・
欲しい方はスタッフまで~(≧▽≦)

▼△▼△▼△▼△▼△▼△▼△▼△▼△▼△▼△▼△▼△▼△▼△▼△▼△▼
いつもMOSS DIVERSをご利用頂き、誠にありがとうございます。
おかげさまで「2025年3月13日」にモスダイバーズは10周年記念を迎えます。
感謝の気持ちを込めて、10周年記念キャンペーンを企画しました!!
・・
第一弾!キャンペーンの発表はコチラです。 ↓ ↓ ↓
大好評につき2025年もやります!!
レンタル器材無料キャンペーン!!
対象期間:2025年3月1日〜2025年12月26日
■ 3月1日 〜 4月25日
■ 5月7日 〜 6月12日
■ 7月22日 〜 8月7日
■ 8月18日 〜 8月31日
■ 9月 月曜日〜木曜日 (祭日除く)
■ 10月 月曜日〜木曜日 (祭日除く)
■ 11月4日 〜 11月13日
■ 11月25日 〜 12月26日
・・・
通常、器材フルレンタル1日/ ¥5,500(税込)が 0円に!!!
2日間のご利用で 器材フルレンタル ¥11,000(税込)が 0円に!!!
超お得!!この機会にぜひご利用ください!!
※その他の日程は対象外となっております。
お願い/注意事項
■ お支払いは現金精算のみとさせて頂きます。
■ 器材の数に限りがありますので先着5名様とさせて頂きます。
■ ポイントカードや他の割引との併用はできません。
■ HP<予約フォーム>からのご予約お申込みされたお客様のみ対象となります。
■ ダイビングコンピューター・水中ライトは含まれません。
▼△▼△▼△▼△▼△▼△▼△▼△▼△▼△▼△▼△▼△▼△▼△▼△▼△▼
<予約状況・休業日のご案内>
すでに満席になっている日程や休業日とさせて頂いている日もありますので、
ご予約前に予めご確認ください!!
現在の予約状況は下記となっております。
<締め切りの日程>
【2025年】
・11/15
・12/2~8,27~29
【2026年】
・1/13~2/28
<締め切り間近の日程>
【2025年】
・12/31
【2026年】
・1/1
※予約状況の更新に誤差が生じる場合もございますので、予めご了承ください。
ご不安な場合は、一度お問い合わせください。
・・・
<ホームページ上で、予約状況を確認する方法>
1.ホームページ上の【Reserve ご予約】をクリック!
2.【参加カテゴリー】を選択 → 【参加コース】を選択
3.カレンダーが表示されます。
「〇予約可」は、ご予約が入り始めている状況。
「□リクエスト」は、ご予約の空きが少なくなってきている状況。
「×予約不可」は、満席もしくは休業日です。