その他
2026.03.01
再開から絶好調!!
- 天気
-
晴れ、くもり
- 気温
-
最低
21℃
最高25℃
- 風向
-
南東
- 水温
-
24℃℃
- 波
-
2m

はいさーい!
りゅういちです!
今日から海スタートです!
天気もいいです!🌞
1ヶ月半ぶりの水中はどうなってるかな〜??
今日は、石垣島エリアで潜ってきました!

▼△▼△▼△▼△▼△▼△▼△▼△▼△▼△▼△▼△▼△▼△▼△▼△▼
【重要!!】あらかじめご確認お願い致します。
◆<デジタル化の導入>
▼△▼△▼△▼△▼△▼△▼△▼△▼△▼△▼△▼△▼△▼△▼△▼△▼△▼△
前回は、タイで潜り
すごい楽しかったですが
あらためて
石垣の海は、実家のような
安心感がありました(笑)

な、なんと
コブシメがいました!
全部で4匹!!

春は、コブシメと幼魚の時期!
これからが楽しみですね〜♪

ピンボケですみません😅
しかし、どうしても載せたかったんです!
ヒョウモンダコに似てるオオマルモンダコ!
石垣島では、なかなかレア!

模様が綺麗なんですが
猛毒持ちなのです!
絶対に触らないでおこうと
心がけていたんですが…..
撮っていたら急に飛びかかってきたーーーー!!
↓
その瞬間の写真です…..
・
この瞬間、走馬灯が見えました(笑)
周りにゲスト様がいたんですが
誰も見ておらず、1人でプチパニックになってました(笑)

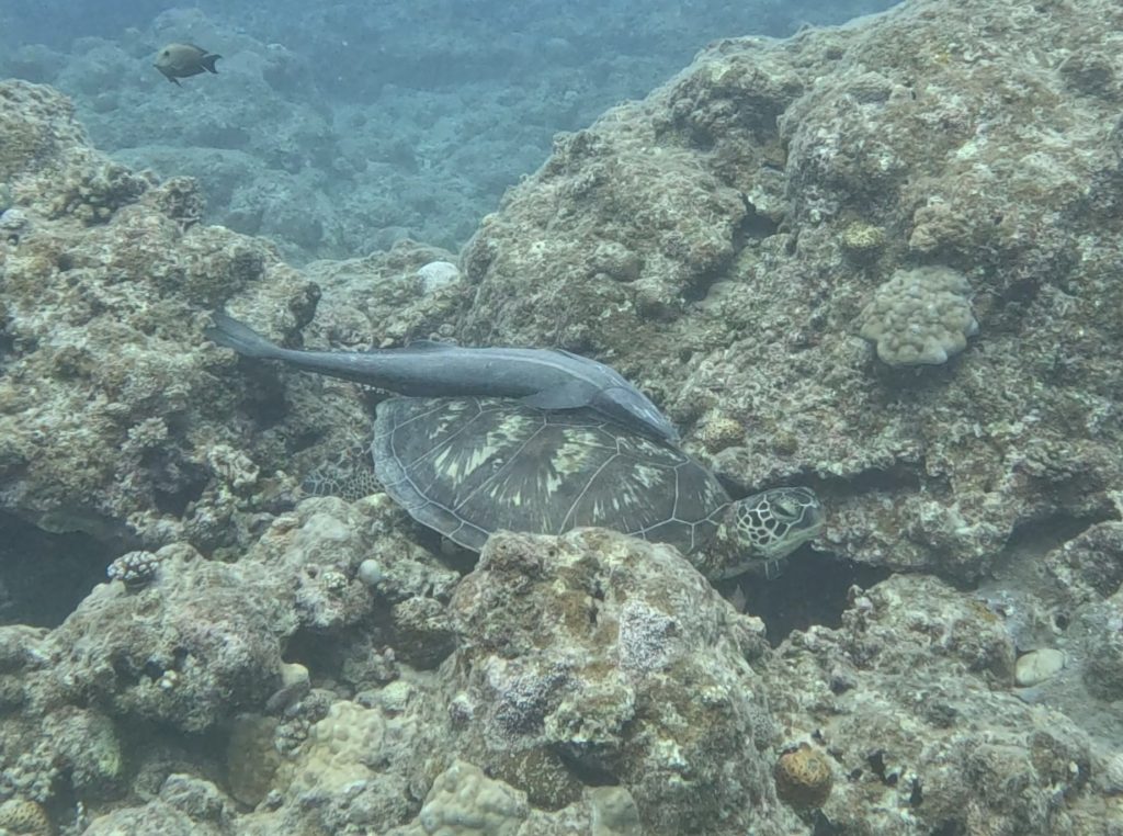
カメも安定!!
大量におりました!!

こっちにも…..

あっちにも….

結局6匹以上いました(笑)
カメ好きの方は
石垣島にお越しください(笑)

今期、初のマンタ
ポイントにも行ってきました!
・
運よくガラガラで
すんなりと入れたーー!
ラッキー!
・
・
さて、肝心のマンタ….
いましたーーーーー!!

今期いいスタートをきれました!
サービスも、いっぱいしてくれ
頭上を何回もぐるぐる〜

2枚に増えて….

3枚に増えて…..
最終的に4枚になり
大フィーバー!!
最後まで見れて大満足じゃーー!✌️

最後にお楽しみのランチタイム〜🍚
今日は、豚三枚肉そば&じゅーしーおにぎりでした!

いい1日でした〜!
明日も楽しく、のんびり、安全第一で行ってきます!
・
それではまた!
▼△▼△▼△▼△▼△▼△▼△▼△▼△▼△▼△▼△▼△▼△▼△▼△▼△▼
大好評につき2026年もやります!!
レンタル器材無料キャンペーン!!
【キャンペーン期間:2026年3月1日〜2026年12月25日】
↓↓↓対象日は下記日程となります↓↓↓
⭐︎3月1日〜4月24日
⭐︎5月7日〜6月12日
⭐︎7月21日〜8月7日
⭐︎8月17日〜8月31日
⭐︎9月 月曜日〜木曜日 (祭日除く)
⭐︎10月 月曜日〜木曜日 (祭日除く)
⭐︎11月4日〜20日
⭐︎11月24日〜12月25日
※その他の日程は対象外となっておりますので、予めご確認下さい。
・・・
通常、器材フルレンタル1日/ ¥5,500(税込)が 0円に!!!
2日間のご利用で 器材フルレンタル ¥11,000(税込)が 0円に!!!
超お得!!この機会にぜひご利用ください!!
<お願い/注意事項>
■ お支払いは現金精算のみとさせて頂きます。
■ 器材の数に限りがありますので先着5名様とさせて頂きます。
■ ポイントカードや他の割引との併用はできません。
■ HP<予約フォーム>からのご予約お申込みされたお客様のみ対象となります。
■ ダイビングコンピューター・水中ライトは含まれません。
▼△▼△▼△▼△▼△▼△▼△▼△▼△▼△▼△▼△▼△▼△▼△▼△▼△▼△
いつもモスダイバーズをご利用いただきまして、誠にありがとうございます。
【重要!】この度、2025年12月9日に事務所を移転いたしました。
新しい住所と連絡先は以下の通りです。
◆新住所:〒907-0004
沖縄県石垣市登野城737
◆新電話番号:080-9244-8545
今後とも、モスダイバーズを宜しくお願い致します。
▼△▼△▼△▼△▼△▼△▼△▼△▼△▼△▼△▼△▼△▼△▼△▼△▼