その他
2025.10.27
今日も南へ!!
- 天気
-
曇り
- 気温
-
最低
25℃
最高26.9℃
- 風向
-
北北東
- 水温
-
27~28℃
- 波
-
3mうねり

今日は朝から曇り!!(笑)
もう、雨降っていないだけで最高です(≧▽≦)
だんだん、そんな感覚になりつつあるクロスケです(笑)
▼△▼△▼△▼△▼△▼△▼△▼△▼△▼△▼△▼△▼△▼△▼△▼△▼
2025年度からの新しいご案内がございます。あらかじめご確認お願い致します。
◆<デジタル化の導入>
▼△▼△▼△▼△▼△▼△▼△▼△▼△▼△▼△▼△▼△▼△▼△▼△▼△▼△
お天気がすっきりしないかわりに、竹富南周辺の透明度が抜群で嬉しい!!
透明度が良いおかげで、水中が明るいのです(´;ω;`)ウゥゥありがたや~!!

水中は満点の星空のように、スカシテンジクダイがキラキラやで!
陸上の夜空も満天の星空が早く見たいぞ!!

「お掃除しますよ~、今暇ですよ~、どなたかいかがー?」
って、アカシマシラヒゲエビがお客様を待ってます(笑)

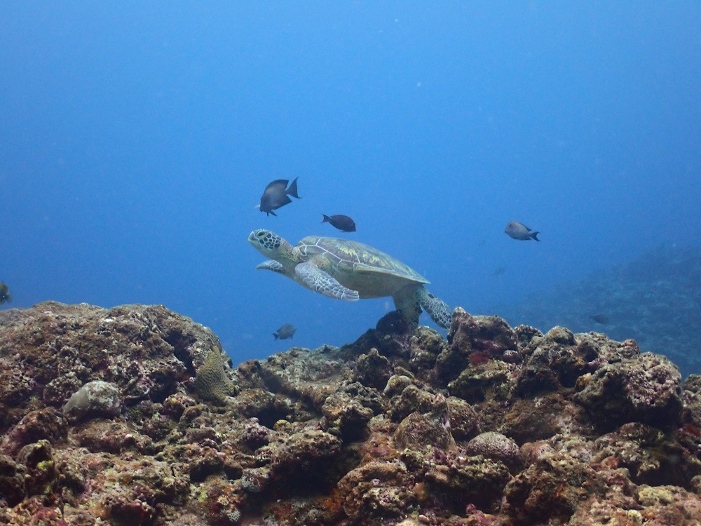
ハギがカメ吉さんの甲羅に付いている藻をパクパク・・・
その間、逃げもせず気持ち良さそうに漂っていましたよ~♪

体全体を使ってVサイン!!
そうだったね、ここは「黒島””V字””」ってポイントだったね。

まぁ素敵!水中に薔薇の花♥

さて、これはなんでしょ~??
・・・
あっという間に10月が終わるぅ~。。そろそろハロウィーンですねぇ!
・・
な、な、なんだあれは!!??

っと、イソギンチャクの影から見つめるハナビラクマノミの先に・・・
コップのフチ子さんハロウィーンバージョンがいました(笑)
・・・
最後に今日のランチは「タコライスとスープ」でした。

明日もなんとか、雨はほどほどに!!!お願いー!!!
それではまた!
▼△▼△▼△▼△▼△▼△▼△▼△▼△▼△▼△▼△▼△▼△▼△▼△▼△▼

残りわずかです!!欲しい方はスタッフまで~(≧▽≦)
▼△▼△▼△▼△▼△▼△▼△▼△▼△▼△▼△▼△▼△▼△▼△▼△▼△▼
いつもMOSS DIVERSをご利用頂き、誠にありがとうございます。
おかげさまで「2025年3月13日」にモスダイバーズは10周年記念を迎えます。
感謝の気持ちを込めて、10周年記念キャンペーンを企画しました!!
・・
第一弾!キャンペーンの発表はコチラです。 ↓ ↓ ↓
大好評につき2025年もやります!!
レンタル器材無料キャンペーン!!
対象期間:2025年3月1日〜2025年12月26日
■ 3月1日 〜 4月25日
■ 5月7日 〜 6月12日
■ 7月22日 〜 8月7日
■ 8月18日 〜 8月31日
■ 9月 月曜日〜木曜日 (祭日除く)
■ 10月 月曜日〜木曜日 (祭日除く)
■ 11月4日 〜 11月13日
■ 11月25日 〜 12月26日
・・・
通常、器材フルレンタル1日/ ¥5,500(税込)が 0円に!!!
2日間のご利用で 器材フルレンタル ¥11,000(税込)が 0円に!!!
超お得!!この機会にぜひご利用ください!!
※その他の日程は対象外となっております。
お願い/注意事項
■ お支払いは現金精算のみとさせて頂きます。
■ 器材の数に限りがありますので先着5名様とさせて頂きます。
■ ポイントカードや他の割引との併用はできません。
■ HP<予約フォーム>からのご予約お申込みされたお客様のみ対象となります。
■ ダイビングコンピューター・水中ライトは含まれません。
▼△▼△▼△▼△▼△▼△▼△▼△▼△▼△▼△▼△▼△▼△▼△▼△▼△▼
<予約状況・休業日のご案内>
すでに満席になっている日程や休業日とさせて頂いている日もありますので、
ご予約前に予めご確認ください!!
現在の予約状況は下記となっております。
<締め切りの日程>
【2025年】
・12/2~8,27~29
【2026年】
・1/13~2/28
<締め切り間近の日程>
【2025年】
・12/31
【2026年】
・1/1
※予約状況の更新に誤差が生じる場合もございますので、予めご了承ください。
ご不安な場合は、一度お問い合わせください。
・・・
<ホームページ上で、予約状況を確認する方法>
1.ホームページ上の【Reserve ご予約】をクリック!
2.【参加カテゴリー】を選択 → 【参加コース】を選択
3.カレンダーが表示されます。
「〇予約可」は、ご予約が入り始めている状況。
「□リクエスト」は、ご予約の空きが少なくなってきている状況。
「×予約不可」は、満席もしくは休業日です。