スタッフブログ
2025.10.15
NEWフェイス!!
- 天気
-
晴れ
- 気温
-
最低
26.9℃
最高32.6℃
- 風向
-
東南東
- 水温
-
28~29℃
- 波
-
1.5mうねり

夕方、暗くなるのが早くなってきました~
外を見るともう暗くなっていて、遅い時間になってしまった~って思ったら、
まだまだ早い時間でラッキー(笑)
そう思いながらBlogを書いている次第でございます♪
▼△▼△▼△▼△▼△▼△▼△▼△▼△▼△▼△▼△▼△▼△▼△▼△▼
2025年度からの新しいご案内がございます。あらかじめご確認お願い致します。
◆<デジタル化の導入>
▼△▼△▼△▼△▼△▼△▼△▼△▼△▼△▼△▼△▼△▼△▼△▼△▼△▼△
さて、南の海上に怪しい雲があるようで・・・その影響で数日後に風が強まってきそうです。。
北風予報なので、一気に秋らしくなるかもしれませんね~
・・・
今日の水中は、まるで桜の花吹雪!!春のようでした(≧▽≦)

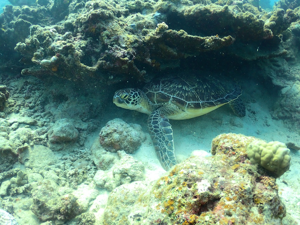
カメ吉はまったりモード。
今までカメをじっくり見たことがないゲスト様もゆっくり見られて良かった~♪

クマノミ見てるだけでまったりする~♪

そんなまったりのんびりな石垣島の海で記念ダイブを迎えられたよっちゃん!!
おめでとうございます(≧▽≦)
300本ものたくさんの思い出が詰まった20年!!無事に迎えられて良かったです(≧▽≦)

ちびっこー!顔つき見ただけでbabyと分かる幼さ♡のイロブダイ。

今日は、超HIT生物に出会いました~!!
龍一が発見!!アカククリの500円玉サイズ+αくらいの小ささ!!
NEWフェイスのアカククリbabyちゃん!!
以前居た子は旅に出たので、また入れ替わりでこの子がしばらくお相手してくれるかなぁ~??
ほんと、今年はアカククリbabyが当たり年です!

昨日は離島方面で潜っていたので、今日は1日ぶりのマンタ狙いに行ってきましたよー!
石垣島に来たら、やっぱりマンタに会いたいですよねー!
前回は、マンタ根で30分待って・・・ようやくやって来てくれた感じでしたが、今日はいかに!!??
・・・
マンタ根に行くと、すでに3枚がホバリングしていましたー!!
その後増えて、合計4枚!!やったー(≧▽≦)

途中、脱糞をした個体がいたのですが、塊が出てきたんです!!
今まで脱糞シーンは何度も見ていますが、いつも噴煙のような状態なので、塊は初めてでした(笑)
珍しい状態だったので、塊を拾ってマジマジと見たかったのですが・・・
同じように思っていたガイドさんは多くいたようで、先を越されました(笑)

3~4枚が、着底しているダイバーの頭上を通ったり・・クリーニングしたり・・・
今日はアグレッシブに動いてくれたマンタ達!!みなさん大興奮でした~!!

今日もお祝い!!
皆様、ありがとうございます(≧▽≦)

明日ものんびりいきまっせー!
本日のランチは「沖縄坦々そばと海苔おにぎり」でした。

それではまた!
・・
本日の写真も、Yukiさんにお借りしました。
ありがとうございました!!
▼△▼△▼△▼△▼△▼△▼△▼△▼△▼△▼△▼△▼△▼△▼△▼△▼△▼

残りわずかです!!欲しい方はスタッフまで~(≧▽≦)
▼△▼△▼△▼△▼△▼△▼△▼△▼△▼△▼△▼△▼△▼△▼△▼△▼△▼
いつもMOSS DIVERSをご利用頂き、誠にありがとうございます。
おかげさまで「2025年3月13日」にモスダイバーズは10周年記念を迎えます。
感謝の気持ちを込めて、10周年記念キャンペーンを企画しました!!
・・
第一弾!キャンペーンの発表はコチラです。 ↓ ↓ ↓
大好評につき2025年もやります!!
レンタル器材無料キャンペーン!!
対象期間:2025年3月1日〜2025年12月26日
■ 3月1日 〜 4月25日
■ 5月7日 〜 6月12日
■ 7月22日 〜 8月7日
■ 8月18日 〜 8月31日
■ 9月 月曜日〜木曜日 (祭日除く)
■ 10月 月曜日〜木曜日 (祭日除く)
■ 11月4日 〜 11月13日
■ 11月25日 〜 12月26日
・・・
通常、器材フルレンタル1日/ ¥5,500(税込)が 0円に!!!
2日間のご利用で 器材フルレンタル ¥11,000(税込)が 0円に!!!
超お得!!この機会にぜひご利用ください!!
※その他の日程は対象外となっております。
お願い/注意事項
■ お支払いは現金精算のみとさせて頂きます。
■ 器材の数に限りがありますので先着5名様とさせて頂きます。
■ ポイントカードや他の割引との併用はできません。
■ HP<予約フォーム>からのご予約お申込みされたお客様のみ対象となります。
■ ダイビングコンピューター・水中ライトは含まれません。
▼△▼△▼△▼△▼△▼△▼△▼△▼△▼△▼△▼△▼△▼△▼△▼△▼△▼
<予約状況・休業日のご案内>
すでに満席になっている日程や休業日とさせて頂いている日もありますので、
ご予約前に予めご確認ください!!
現在の予約状況は下記となっております。
<締め切りの日程>
【2025年】
・10/18,24
・12/2~8,27~29
【2026年】
・1/13~2/28
<締め切り間近の日程>
【2025年】
・10/14,17,20,23,25
・12/31
【2026年】
・1/1
※予約状況の更新に誤差が生じる場合もございますので、予めご了承ください。
ご不安な場合は、一度お問い合わせください。
・・・
<ホームページ上で、予約状況を確認する方法>
1.ホームページ上の【Reserve ご予約】をクリック!
2.【参加カテゴリー】を選択 → 【参加コース】を選択
3.カレンダーが表示されます。
「〇予約可」は、ご予約が入り始めている状況。
「□リクエスト」は、ご予約の空きが少なくなってきている状況。
「×予約不可」は、満席もしくは休業日です。