その他
2026.03.14
大フィーバー!!
- 天気
-
晴れ、くもり
- 気温
-
最低
18℃
最高22℃
- 風向
-
北東
- 水温
-
19〜23℃℃
- 波
-
3m
はいさーい!
りゅういちです!
今日は、1本目から黒島へ!
目的はマンタ!!
昨日は、強い北風が吹いていたので
プランクトンがいっぱいいるかも!?
そんな希望を抱きいざ!!

▼△▼△▼△▼△▼△▼△▼△▼△▼△▼△▼△▼△▼△▼△▼△▼△▼
【重要!!】あらかじめご確認お願い致します。
◆<デジタル化の導入>
▼△▼△▼△▼△▼△▼△▼△▼△▼△▼△▼△▼△▼△▼△▼△▼△▼△▼△
はいったら目の前には
大量のグルクンと….

サバヒーが!!
これだけいて、居ないはずはない!

きたあああああああ!
一気に3枚!!

入って5分も経ってないですよ!
一体、何枚いるんだ!?

おそらく5〜6枚以上は、居たと思います!
これだけいると笑っちゃいます(笑)

浅いリーフにいたので
めちゃくちゃ近くで見れました!

安全停止中に
お見送りまで!
大満足でした〜!

休憩中に船上からも
見れました!!

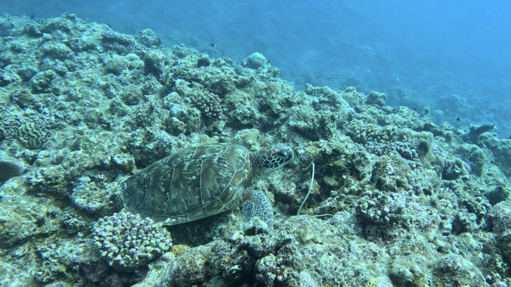
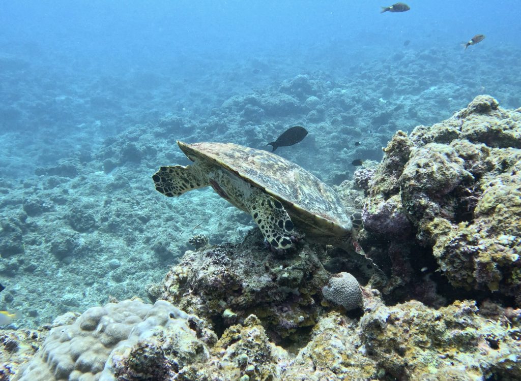
お次はカメも見たいと
リクエストいただいたので
カメ ポイントへ!
・
そしたら、カメも
ゴロゴロいました(笑)

おチビ アオウミガメに〜♡

おチビ タイマイもGET!!
食欲旺盛な子でした(笑)

お楽しみのランチタイム〜🍔
今日は、梅こんぶうどん&いなり寿司でした!

『イベントのご案内です!!』
4月のマリンダイビングフェア2026
「八重山ダイビング協会のブース」にMOSSDIVERSS森&クロちゃんが参加します!
第34回「マリンダイビングフェア2026」
開催日:2026年4月3日(金)~5日(日)
会場:池袋サンシャインシティ文化会館2階(Dホール)
時間:10:00~17:00(3日のみ閉場が18:00)
◾️マリンダイビングフェア公式ホームページ:https://marinediving.com/mdf/
ぜひ会場でお会いしましょう!!

▼△▼△▼△▼△▼△▼△▼△▼△▼△▼△▼△▼△▼△▼△▼△▼△▼△▼
大好評につき2026年もやります!!
レンタル器材無料キャンペーン!!
【キャンペーン期間:2026年3月1日〜2026年12月25日】
↓↓↓対象日は下記日程となります↓↓↓
⭐︎3月1日〜4月24日
⭐︎5月7日〜6月12日
⭐︎7月21日〜8月7日
⭐︎8月17日〜8月31日
⭐︎9月 月曜日〜木曜日 (祭日除く)
⭐︎10月 月曜日〜木曜日 (祭日除く)
⭐︎11月4日〜20日
⭐︎11月24日〜12月25日
※その他の日程は対象外となっておりますので、予めご確認下さい。
・・・
通常、器材フルレンタル1日/ ¥5,500(税込)が 0円に!!!
2日間のご利用で 器材フルレンタル ¥11,000(税込)が 0円に!!!
超お得!!この機会にぜひご利用ください!!
<お願い/注意事項>
■ お支払いは現金精算のみとさせて頂きます。
■ 器材の数に限りがありますので先着5名様とさせて頂きます。
■ ポイントカードや他の割引との併用はできません。
■ HP<予約フォーム>からのご予約お申込みされたお客様のみ対象となります。
■ ダイビングコンピューター・水中ライトは含まれません。
▼△▼△▼△▼△▼△▼△▼△▼△▼△▼△▼△▼△▼△▼△▼△▼△▼△▼△
いつもモスダイバーズをご利用いただきまして、誠にありがとうございます。
【重要!】この度、2025年12月9日に事務所を移転いたしました。
新しい住所と連絡先は以下の通りです。
◆新住所:〒907-0004
沖縄県石垣市登野城737
◆新電話番号:080-9244-8545
今後とも、モスダイバーズを宜しくお願い致します。
▼△▼△▼△▼△▼△▼△▼△▼△▼△▼△▼△▼△▼△▼△▼△▼△▼