スタッフブログ
2025.04.30
夏を感じるべた凪。
- 天気
-
晴れ
- 気温
-
最低
19.7℃
最高26.4℃
- 風向
-
東南東
- 水温
-
24℃
- 波
-
1m

風が弱くなった本日。
島影の場所は上の写真のようにべた凪の光景でした(≧▽≦)
太陽の日差しが水面を照らしキラキラ!!夏を感じるな~♪
▼△▼△▼△▼△▼△▼△▼△▼△▼△▼△▼△▼△▼△▼△▼△▼△▼
2025年度からの新しいご案内がございます。あらかじめご確認お願い致します。
◆<デジタル化の導入>
▼△▼△▼△▼△▼△▼△▼△▼△▼△▼△▼△▼△▼△▼△▼△▼△▼△▼△▼
さて、風が弱まってくれたおかげで、石崎のマンタポイントへ向かえました!
昨日の風の影響でウネリは残っている状況でしたが、朝イチに狙ってみましたー!
・・
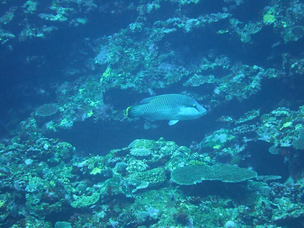
お!ナポレオンの若いの!

ホワイトチップもピュ~っとやってきて、ピント合わない(笑)
””大物””と言われる出演者はやってきれくれましたが、待てど暮らせどマンタは来ず・・・

タイムアップで安全停止をしている最中に・・・・!!!!!!!
マンタ泳いでキタ━━━━(゚∀゚)━━━━!!
最後にまだ水中にいたチームは見れましたが、先に上がっていたチームは出会えず・・・(〇□〇)
ちょっとしたタイミングが・・・・・くぅ~(>_<)
全員で見たかったですが・・・
ココで記念ダイブを迎えたゲスト様は、なんとかマンタにお祝いしてもらえました!!

うねりのある場所から離れ、穏やかなポイントへ戻って来て2本。
コブシメは今日も産卵していましたー!引き続き、優しく見守っていきましょうね~

黒い斑点があると、ついつい探してしまうクセが(笑)
隠れたハートやディズニーキャラクターの彼はいるかしら・・・

・・・

最後は浅瀬のサンゴポイントへー!
湾内にしては透明度GOODですねー!!そして、太陽の日差しがあって最高!!

サンゴが元気な証拠も♪人気のテングカワハギ!!

ここは、サンゴとデバスズメダイがモリモリで、ずーっと眺めていられる素晴らしい光景だな~!
南国を感じる空間でした(≧▽≦)

皆さんで賑やかにお祝いでーす!
海の生物だけでなく、富士山にビール、シャンパンガールと、よりどりみどりですね(笑)
おめでとうございました~♪これからも素敵なダイビングを!

今日のランチは「親子あんかけ丼と味噌汁」でした。

今日明日は、GWのちょこっと落ち着く日からの・・・
次は4連休にかけて、人数も増えてまた賑やかになってきますよ~!
それではまた!
▼△▼△▼△▼△▼△▼△▼△▼△▼△▼△▼△▼△▼△▼△▼△▼△▼△▼
いつもMOSS DIVERSをご利用頂き、誠にありがとうございます。
おかげさまで「2025年3月13日」にモスダイバーズは10周年記念を迎えます。
感謝の気持ちを込めて、10周年記念キャンペーンを企画しました!!
・・
第一弾!キャンペーンの発表はコチラです。 ↓ ↓ ↓
大好評につき2025年もやります!!
レンタル器材無料キャンペーン!!
対象期間:2025年3月1日〜2025年12月26日
■ 3月1日 〜 4月25日
■ 5月7日 〜 6月12日
■ 7月22日 〜 8月7日
■ 8月18日 〜 8月31日
■ 9月 月曜日〜木曜日 (祭日除く)
■ 10月 月曜日〜木曜日 (祭日除く)
■ 11月4日 〜 11月13日
■ 11月25日 〜 12月26日
・・・
通常、器材フルレンタル1日/ ¥5,500(税込)が 0円に!!!
2日間のご利用で 器材フルレンタル ¥11,000(税込)が 0円に!!!
超お得!!この機会にぜひご利用ください!!
※その他の日程は対象外となっております。
お願い/注意事項
■ お支払いは現金精算のみとさせて頂きます。
■ 器材の数に限りがありますので先着5名様とさせて頂きます。
■ ポイントカードや他の割引との併用はできません。
■ HP<予約フォーム>からのご予約お申込みされたお客様のみ対象となります。
■ ダイビングコンピューター・水中ライトは含まれません。
▼△▼△▼△▼△▼△▼△▼△▼△▼△▼△▼△▼△▼△▼△▼△▼△▼△▼
<予約状況・休業日のご案内>
すでに満席になっている日程や休業日とさせて頂いている日もありますので、
ご予約前に予めご確認ください!!
現在の予約状況は下記となっております。
<締め切りの日程>
【2025年】
・5/2,3
・6/8,13~15,27~28
・7/4,12~13,19~20
・8/20~22,24~26
<締め切り間近の日程>
【2025年】
・5/1~2,4~5,12,22,24,27
・6/9~10,
・7/3,10~11,14,25~26,28~30
・8/27~30
※予約状況の更新に誤差が生じる場合もございますので、予めご了承ください。
ご不安な場合は、一度お問い合わせください。
・・・
<ホームページ上で、予約状況を確認する方法>
1.ホームページ上の【Reserve ご予約】をクリック!
2.【参加カテゴリー】を選択 → 【参加コース】を選択
3.カレンダーが表示されます。
「〇予約可」は、ご予約が入り始めている状況。
「□リクエスト」は、ご予約の空きが少なくなってきている状況。
「×予約不可」は、満席もしくは休業日です。