その他
2026.04.26
ギリっギリ〜〜(笑)
- 天気
-
-
- 気温
-
最低
-℃
最高-℃
- 風向
-
-
- 水温
-
-℃
- 波
-
-
はいさーい!
りゅういちです!
今朝、寒さで目が覚めました
エアコン消し忘れたかな〜って思ったら
気温が低い!19℃🥶
曇ってるし…..
しかし、天気はころっと変わり
めちゃくちゃ晴れましたーーー!☀️

▼△▼△▼△▼△▼△▼△▼△▼△▼△▼△▼△▼△▼△▼△▼△▼△▼
《重要!!!》皆さまへご案内がございます。
4月1日より【燃油サーチャージ(燃料協力金)を導入】致します。
↓↓↓詳しくはこちらをご覧ください↓↓↓
◆【燃油サーチャージ(燃料協力金)を導入】に関して。
▼△▼△▼△▼△▼△▼△▼△▼△▼△▼△▼△▼△▼△▼△▼△▼△▼
さて、本日も黒島〜新城島エリアに
行ってきました!
・
可愛い子達が増えてきてますよ〜💕

もう、あちこちに
おチビがいっぱい!
今はスズメダイの幼魚が多いです!

カエルウオのおチビは
まだ、見てないな〜
早く出てきておくれ〜

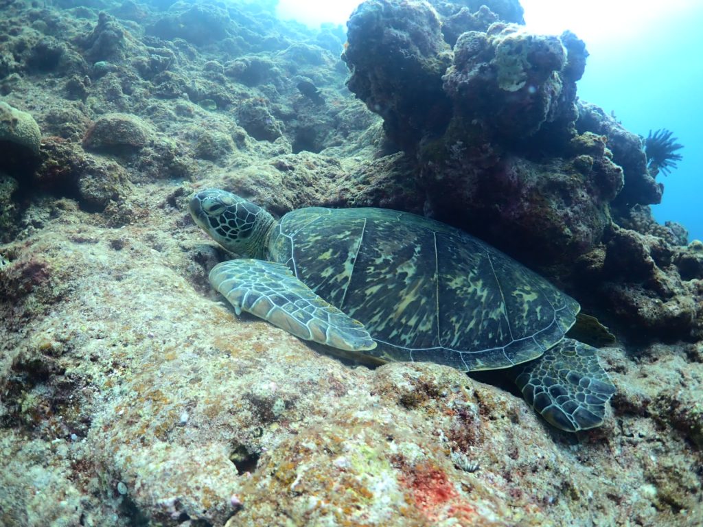
皆さん、アオウミガメってなんで
アオって言うか知ってますか?
実は…..
脂肪が青いからアオウミガメと
名付けられたらしいです!
最近、こんな豆知識みたいなの調べてます(笑)
また、ちょこちょこ教えますね♪

群れ群れ〜!!
ノコギリダイ!
周りにもっといました!

アーチも楽しんできましたよ〜!

上の方には、アカマツカサやハタンポが
うじゃうじゃいました!

さて、今日もマンタ チャレンジ〜!
昨日は、なんとか見れたから
今日は余裕もって見たいな〜(笑)
・
・
・
あれ、いない…….
・
・
・
嘘でしょ〜
久々の敗北か?
・
・
・
と思ったら!!!!!!
来たあああああああああああ!
・
しかも、昨日と同じ
通りすがり(笑)
でも…見れただけよかったです!!
めでたしめでたし〜😁

最後にお楽しみのランチタイム〜🍱
今日は、豚三枚肉そば&じゅーじーおにぎりでした!

今日もいい1日でした!
明日も楽しく、のんびり、安全第一で行ってきます!
・
それではまた!
▼△▼△▼△▼△▼△▼△▼△▼△▼△▼△▼△▼△▼△▼△▼△▼△▼
《あらかじめご確認お願い致します。》
◆<デジタル化の導入>
▼△▼△▼△▼△▼△▼△▼△▼△▼△▼△▼△▼△▼△▼△▼△▼△▼△▼
大好評につき2026年もやります!!
レンタル器材無料キャンペーン!!
【キャンペーン期間:2026年3月1日〜2026年12月25日】
↓↓↓対象日は下記日程となります↓↓↓
⭐︎3月1日〜4月24日
⭐︎5月7日〜6月12日
⭐︎7月21日〜8月7日
⭐︎8月17日〜8月31日
⭐︎9月 月曜日〜木曜日 (祭日除く)
⭐︎10月 月曜日〜木曜日 (祭日除く)
⭐︎11月4日〜20日
⭐︎11月24日〜12月25日
※その他の日程は対象外となっておりますので、予めご確認下さい。
・・・
通常、器材フルレンタル1日/ ¥5,500(税込)が 0円に!!!
2日間のご利用で 器材フルレンタル ¥11,000(税込)が 0円に!!!
超お得!!この機会にぜひご利用ください!!
<お願い/注意事項>
■ お支払いは現金精算のみとさせて頂きます。
■ 器材の数に限りがありますので先着5名様とさせて頂きます。
■ ポイントカードや他の割引との併用はできません。
■ HP<予約フォーム>からのご予約お申込みされたお客様のみ対象となります。
■ ダイビングコンピューター・水中ライトは含まれません。
▼△▼△▼△▼△▼△▼△▼△▼△▼△▼△▼△▼△▼△▼△▼△▼△▼△▼△
いつもモスダイバーズをご利用いただきまして、誠にありがとうございます。
【重要!】この度、2025年12月9日に事務所を移転いたしました。
新しい住所と連絡先は以下の通りです。
◆新住所:〒907-0004
沖縄県石垣市登野城737
◆新電話番号:080-9244-8545
今後とも、モスダイバーズを宜しくお願い致します。
▼△▼△▼△▼△▼△▼△▼△▼△▼△▼△▼△▼△▼△▼△▼△▼△▼