その他
2026.04.01
様々なサンゴ達🪸
- 天気
-
くもり、晴れ、雨
- 気温
-
最低
21℃
最高28℃
- 風向
-
南西〜北
- 水温
-
24℃℃
- 波
-
2.5m
はいさーい!
りゅういちです!
今日の風は、なかなか厄介でした〜🌪️
南西〜北ポイント選びが難しい!!
なので….
穏やかな所で1日過ごしました!
▼△▼△▼△▼△▼△▼△▼△▼△▼△▼△▼△▼△▼△▼△▼△▼△▼
《重要!!!》皆さまへご案内がございます。
4月1日より【燃油サーチャージ(燃料協力金)を導入】致します。
↓↓↓詳しくはこちらをご覧ください↓↓↓
◆【燃油サーチャージ(燃料協力金)を導入】に関して。
▼△▼△▼△▼△▼△▼△▼△▼△▼△▼△▼△▼△▼△▼△▼△▼△▼
まだまだ、健在でした!
リュウキュウキッカサンゴ!
見る時は真上から見るのが
おすすめです!

舞茸の様なサンゴも
たくさ〜〜ん!!

ここで、ずば抜けて大きい
コモンシコロサンゴ!!
イメージ….一軒家より少し大きいです!!

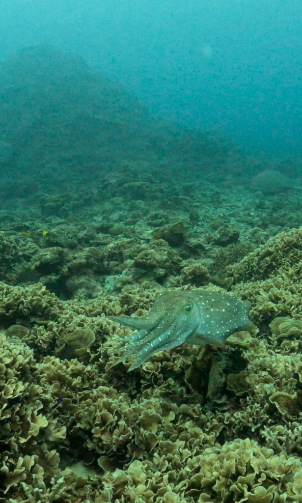
近くには、コブシメもいました!
誰かを探しているのか
ずっと、フラフラさまよっていました(笑)

サンゴと一緒に撮れました!
いい絵になる〜〜

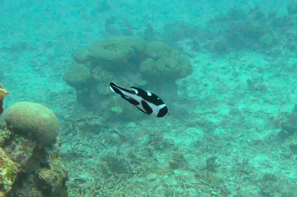
ちょーかわいい
マダラタルミの
子供も発見!!
ただ、シャイな子で
じっくりは撮らしてくれませんでした〜

このサンゴ ハートに見えませんか!?♡
面白い形のサンゴも
ちょいちょいあるんです!

最後にお楽しみのランチタイム〜🍛
今日は、麻婆豆腐丼&スープでした!

今日もいい1日でした!
明日からは、しばらく海は
お休みになります!
明後日は、マリンダイビング フェアが開催されます!
会場には、森&黒ちゃんが参戦します!
ぜひ、会いにきてください!😊
・
それではまた!
▼△▼△▼△▼△▼△▼△▼△▼△▼△▼△▼△▼△▼△▼△▼△▼△▼
《あらかじめご確認お願い致します。》
◆<デジタル化の導入>
▼△▼△▼△▼△▼△▼△▼△▼△▼△▼△▼△▼△▼△▼△▼△▼△▼△▼

来月開催される「第34回マリンダイビングフェア2026」
今年は、「八重山ダイビング協会のブース」にMOSSDIVERSS森&クロちゃんが参加します!
開催日:2026年4月3日(金)~5日(日)
会場:池袋サンシャインシティ文化会館2階(Dホール)
時間:10:00~17:00(3日のみ閉場が18:00)
ぜひ会場でお待ちしておりまーす!!
それではまた!
▼△▼△▼△▼△▼△▼△▼△▼△▼△▼△▼△▼△▼△▼△▼△▼△▼△▼
大好評につき2026年もやります!!
レンタル器材無料キャンペーン!!
【キャンペーン期間:2026年3月1日〜2026年12月25日】
↓↓↓対象日は下記日程となります↓↓↓
⭐︎3月1日〜4月24日
⭐︎5月7日〜6月12日
⭐︎7月21日〜8月7日
⭐︎8月17日〜8月31日
⭐︎9月 月曜日〜木曜日 (祭日除く)
⭐︎10月 月曜日〜木曜日 (祭日除く)
⭐︎11月4日〜20日
⭐︎11月24日〜12月25日
※その他の日程は対象外となっておりますので、予めご確認下さい。
・・・
通常、器材フルレンタル1日/ ¥5,500(税込)が 0円に!!!
2日間のご利用で 器材フルレンタル ¥11,000(税込)が 0円に!!!
超お得!!この機会にぜひご利用ください!!
<お願い/注意事項>
■ お支払いは現金精算のみとさせて頂きます。
■ 器材の数に限りがありますので先着5名様とさせて頂きます。
■ ポイントカードや他の割引との併用はできません。
■ HP<予約フォーム>からのご予約お申込みされたお客様のみ対象となります。
■ ダイビングコンピューター・水中ライトは含まれません。
▼△▼△▼△▼△▼△▼△▼△▼△▼△▼△▼△▼△▼△▼△▼△▼△▼△▼△
いつもモスダイバーズをご利用いただきまして、誠にありがとうございます。
【重要!】この度、2025年12月9日に事務所を移転いたしました。
新しい住所と連絡先は以下の通りです。
◆新住所:〒907-0004
沖縄県石垣市登野城737
◆新電話番号:080-9244-8545
今後とも、モスダイバーズを宜しくお願い致します。
▼△▼△▼△▼△▼△▼△▼△▼△▼△▼△▼△▼△▼△▼△▼△▼△▼