その他
2026.03.23
好調!!
- 天気
-
晴れ
- 気温
-
最低
22℃
最高27℃
- 風向
-
南
- 水温
-
25℃℃
- 波
-
1m
はいさーい!
りゅういちです!
今日も天気がいい〜
ぽかぽかで、食後の睡魔が襲ってきます(笑)
さて、本日は石垣島エリアへ〜
体験とファンダイビングチームに
分かれて行ってきました!!

・
・
・

来月開催される「第34回マリンダイビングフェア2026」
今年は、「八重山ダイビング協会のブース」にMOSSDIVERSS森&クロちゃんが参加します!
開催日:2026年4月3日(金)~5日(日)
会場:池袋サンシャインシティ文化会館2階(Dホール)
時間:10:00~17:00(3日のみ閉場が18:00)
ぜひ会場でお待ちしておりまーす!!
▼△▼△▼△▼△▼△▼△▼△▼△▼△▼△▼△▼△▼△▼△▼△▼△▼
【重要!!】あらかじめご確認お願い致します。
◆<デジタル化の導入>
▼△▼△▼△▼△▼△▼△▼△▼△▼△▼△▼△▼△▼△▼△▼△▼△▼
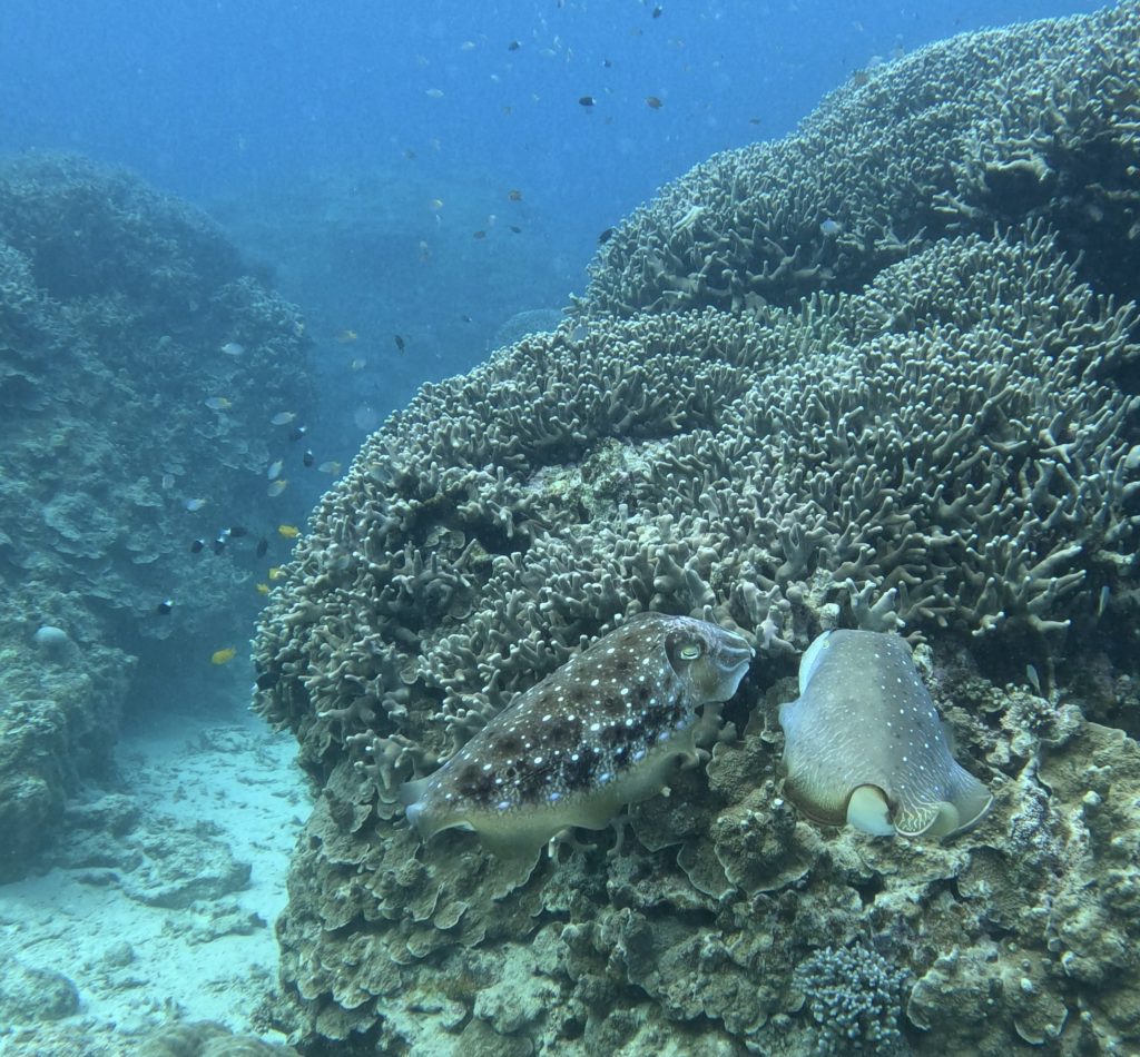
ラブラブのコブシメ カップル💕
ずっと、オスがメスにちょっかいをかけてて
メスは、ちょっとイライラ💢してました(笑)

イソギンチャクと同じ色で綺麗な
ハナビラクマノミ!

真上から見たら
ライオンのたてがみの様で
かっこいいです!😎✨
ハナミノカサゴ

カメも沢山GET〜!!
結局、5匹ぐらい見れました!

ふかふかのソフトコーラルに
挟まれてるおチビ カメ💕

沖合いは、潮通しがよく
ハナゴイとグルクンが
大群れでした!
そこへイソマグロも現れました!

さて、最後はマンタ様に会いに行ってきました!
・
・
ポイントは空いてて
サクッと入れました!
最近は調子が、いいですからね〜
今日も見たい!!
・
・
・
エントリーしてすぐです!!
いましたーーーーー!!

どんどん増えていき
3〜4枚GETでした!!

頭上も通ってくれた〜〜!
ファンチームと体験チーム全員、見れました!
めでたし めでたし〜

最後にお楽しみのランチタイム〜🍱
今日は、チンジャオロース丼&スープでした!

今日もいい1日でした!
明日も楽しく、のんびり、安全第一で行ってきます!
・
それではまた!
▼△▼△▼△▼△▼△▼△▼△▼△▼△▼△▼△▼△▼△▼△▼△▼△▼△▼
大好評につき2026年もやります!!
レンタル器材無料キャンペーン!!
【キャンペーン期間:2026年3月1日〜2026年12月25日】
↓↓↓対象日は下記日程となります↓↓↓
⭐︎3月1日〜4月24日
⭐︎5月7日〜6月12日
⭐︎7月21日〜8月7日
⭐︎8月17日〜8月31日
⭐︎9月 月曜日〜木曜日 (祭日除く)
⭐︎10月 月曜日〜木曜日 (祭日除く)
⭐︎11月4日〜20日
⭐︎11月24日〜12月25日
※その他の日程は対象外となっておりますので、予めご確認下さい。
・・・
通常、器材フルレンタル1日/ ¥5,500(税込)が 0円に!!!
2日間のご利用で 器材フルレンタル ¥11,000(税込)が 0円に!!!
超お得!!この機会にぜひご利用ください!!
<お願い/注意事項>
■ お支払いは現金精算のみとさせて頂きます。
■ 器材の数に限りがありますので先着5名様とさせて頂きます。
■ ポイントカードや他の割引との併用はできません。
■ HP<予約フォーム>からのご予約お申込みされたお客様のみ対象となります。
■ ダイビングコンピューター・水中ライトは含まれません。
▼△▼△▼△▼△▼△▼△▼△▼△▼△▼△▼△▼△▼△▼△▼△▼△▼△▼△
いつもモスダイバーズをご利用いただきまして、誠にありがとうございます。
【重要!】この度、2025年12月9日に事務所を移転いたしました。
新しい住所と連絡先は以下の通りです。
◆新住所:〒907-0004
沖縄県石垣市登野城737
◆新電話番号:080-9244-8545
今後とも、モスダイバーズを宜しくお願い致します。
▼△▼△▼△▼△▼△▼△▼△▼△▼△▼△▼△▼△▼△▼△▼△▼△▼