スタッフブログ
2026.03.05
サンゴの日!
- 天気
-
曇り
- 気温
-
最低
21.5℃
最高22.5℃
- 風向
-
東
- 水温
-
23℃
- 波
-
3mうねり

3月5日。今日は「サンゴの日」です。
MOSSDIVERSの””しゃべるハイエース””も、「今日はサンゴの日です」って言ってました(笑)
▼△▼△▼△▼△▼△▼△▼△▼△▼△▼△▼△▼△▼△▼△▼△▼△▼
【重要!!】あらかじめご確認お願い致します。
◆<デジタル化の導入>
▼△▼△▼△▼△▼△▼△▼△▼△▼△▼△▼△▼△▼△▼△▼△▼△▼△▼△
さて、本日はファンダイビングチームと体験ダイビングチームに分かれてGO~!
この時期は、学生メンバーが増えてきますね~
本日お越しのメンバーもそんな方々が多いです!一気に若返る船上(笑)
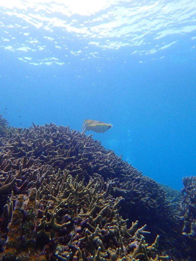
さて、サンゴの日なので、サンゴ見に行きましょー!
風向き的に綺麗なサンゴがあるポイントに行けたので良かった~(≧▽≦)
サンゴを見る前に・・・壁に巨大なゴシキエビ!!久々のサイズ感でした!!

眺めているだけで癒される景色~♪

サンゴもいいけど、今日のメンバーさんはどちらかというと水底見がち(笑)
小さいのお好きね~(笑)

ウミウシも次から次に見つけてくれるので、ガイドとしては・・・助かりました( ´艸`)
イガグリウミウシ!!!Niceです(≧▽≦)

白い色が冬をイメージさせてくれますね~素敵!

一応、ガイドも負けじと1cmもない小さなオレンジウミコチョウで対抗してみました。

下ばかり見てないで、こっちも見てよー!
・・・
コブシメのメスが1匹。頑張って産卵していました!!
この時期ならではの光景ですからね~!産卵シーンが見れて良かった(≧▽≦)

体験チームも無事に潜れて楽しんでいたようで良かった~!!
女将特製の「あんかけそば」もモリモリ食べましたとさ♪

さぁ~明日は嵐の前の静けさになるような気が・・・
どこへ行けるかな?
それではまた!
▼△▼△▼△▼△▼△▼△▼△▼△▼△▼△▼△▼△▼△▼△▼△▼△▼△▼
大好評につき2026年もやります!!
レンタル器材無料キャンペーン!!
【キャンペーン期間:2026年3月1日〜2026年12月25日】
↓↓↓対象日は下記日程となります↓↓↓
⭐︎3月1日〜4月24日
⭐︎5月7日〜6月12日
⭐︎7月21日〜8月7日
⭐︎8月17日〜8月31日
⭐︎9月 月曜日〜木曜日 (祭日除く)
⭐︎10月 月曜日〜木曜日 (祭日除く)
⭐︎11月4日〜20日
⭐︎11月24日〜12月25日
※その他の日程は対象外となっておりますので、予めご確認下さい。
・・・
通常、器材フルレンタル1日/ ¥5,500(税込)が 0円に!!!
2日間のご利用で 器材フルレンタル ¥11,000(税込)が 0円に!!!
超お得!!この機会にぜひご利用ください!!
<お願い/注意事項>
■ お支払いは現金精算のみとさせて頂きます。
■ 器材の数に限りがありますので先着5名様とさせて頂きます。
■ ポイントカードや他の割引との併用はできません。
■ HP<予約フォーム>からのご予約お申込みされたお客様のみ対象となります。
■ ダイビングコンピューター・水中ライトは含まれません。
▼△▼△▼△▼△▼△▼△▼△▼△▼△▼△▼△▼△▼△▼△▼△▼△▼△▼△
いつもモスダイバーズをご利用いただきまして、誠にありがとうございます。
【重要!】この度、2025年12月9日に事務所を移転いたしました。
新しい住所と連絡先は以下の通りです。
◆新住所:〒907-0004
沖縄県石垣市登野城737
◆新電話番号:080-9244-8545
今後とも、モスダイバーズを宜しくお願い致します。
▼△▼△▼△▼△▼△▼△▼△▼△▼△▼△▼△▼△▼△▼△▼△▼△▼