スタッフブログ
2025.11.28
マグロぶりぶり!バラクーダも!
- 天気
-
くもり
- 気温
-
最低
17.9℃
最高21.5℃
- 風向
-
北北東
- 水温
-
24~25℃
- 波
-
2.5

先日、ようやく布団の衣替えをしました。
春頃からずっと冷たい敷パッドと掛け布団無しで寝ていたのですが、
さすがに11月に入ってから、寝ている時に寒さを感じ始め・・・
半袖半パンから、長袖長ズボンにしても結構寒くて丸まって寝ていました(笑)
モコモコの敷パッドと掛け布団で今はぬくぬく眠れているので、布団から出たくないなーっと思う季節になってきました。
そう言いながら、今blogを書いている格好は、半袖半パンのクロ助です(≧▽≦)
▼△▼△▼△▼△▼△▼△▼△▼△▼△▼△▼△▼△▼△▼△▼△▼△▼
2025年度からの新しいご案内がございます。あらかじめご確認お願い致します。
◆<デジタル化の導入>
▼△▼△▼△▼△▼△▼△▼△▼△▼△▼△▼△▼△▼△▼△▼△▼△▼△▼△
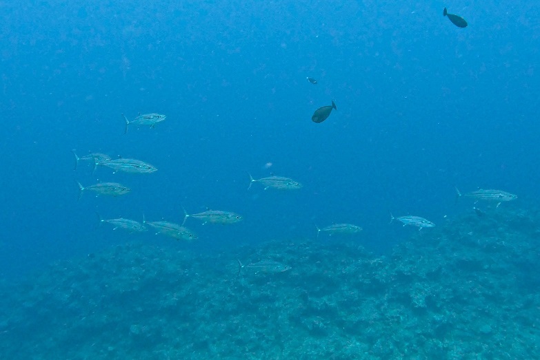
今日は、竹富三昧!!
午前中はリーフの外側のポイントで!
潮の流れも良い感じだったので、大物狙いましょー!
水温が低くなってきたので、マグロの出具合も良い感じ!!
まずは子マグロの編隊が登場して・・・・沖にはBIGサイズの厳つい大マグロ~(≧▽≦)

さらには、バラクーダもキタ━━━━(゚∀゚)━━━━!!やったね!!

スカシテンジクダイとキンメモドキの根には、ハダカハオコゼが居ついてくれていますね~!
今日は白色が2個体と緑色が1個体!

さらに!!可愛いカエルアンコウにも出会えました~!
以前からいる親指の爪くらいの子は、変らず出迎えてくれまして~(*^▽^*)

さらに!!!
他ショップのガイドさんが見つけた極極極小カエルアンコウも見せていただきましたー!
小指の爪より小さいんじゃないかな・・・(笑)これを見つけるのが凄い(;’∀’)

同じオレンジカラーのスーパーアイドルは、今日もカメラ写りをよく分かっていらっしゃる(笑)
いつもありがとうございまーす!

200本記念をMOSSで迎えられたゲスト様が、ゾロ目になる時も是非被り物をしてほしい!!
とのリクエストをいただきました!!
通常は、50本・・100本・・200本・・と、100本間隔でお祝いさせていただいているのですが、
リクエストをいただいたので、クロ助、一肌脱がせていただきましたー(笑)

殿になってみたクロ助でござる!おめでとうございますでござる!
もし、お祝いのリクエストをされる場合は、色々と準備があるので・・・(笑)
事前に言ってくださいでござる!

明日ものんびり楽しい海を♪
それではまた!
今日の写真は、K.Gさんからお借りしました!ありがとうございました!
▼△▼△▼△▼△▼△▼△▼△▼△▼△▼△▼△▼△▼△▼△▼△▼△▼△▼
以前、新しく水色のTーシャツを作りましたが、ありがたいことに大好評で残りわずかになりました!
ありがとうございます😊
あまりにも好評でしたので、新しく違うカラーで作りましたー!!
今回はオリーブ色です!
・
欲しい方はスタッフまで~(≧▽≦)

▼△▼△▼△▼△▼△▼△▼△▼△▼△▼△▼△▼△▼△▼△▼△▼△▼△▼
いつもMOSS DIVERSをご利用頂き、誠にありがとうございます。
おかげさまで「2025年3月13日」にモスダイバーズは10周年記念を迎えます。
感謝の気持ちを込めて、10周年記念キャンペーンを企画しました!!
・・
第一弾!キャンペーンの発表はコチラです。 ↓ ↓ ↓
大好評につき2025年もやります!!
レンタル器材無料キャンペーン!!
対象期間:2025年3月1日〜2025年12月26日
■ 3月1日 〜 4月25日
■ 5月7日 〜 6月12日
■ 7月22日 〜 8月7日
■ 8月18日 〜 8月31日
■ 9月 月曜日〜木曜日 (祭日除く)
■ 10月 月曜日〜木曜日 (祭日除く)
■ 11月4日 〜 11月13日
■ 11月25日 〜 12月26日
・・・
通常、器材フルレンタル1日/ ¥5,500(税込)が 0円に!!!
2日間のご利用で 器材フルレンタル ¥11,000(税込)が 0円に!!!
超お得!!この機会にぜひご利用ください!!
※その他の日程は対象外となっております。
お願い/注意事項
■ お支払いは現金精算のみとさせて頂きます。
■ 器材の数に限りがありますので先着5名様とさせて頂きます。
■ ポイントカードや他の割引との併用はできません。
■ HP<予約フォーム>からのご予約お申込みされたお客様のみ対象となります。
■ ダイビングコンピューター・水中ライトは含まれません。
▼△▼△▼△▼△▼△▼△▼△▼△▼△▼△▼△▼△▼△▼△▼△▼△▼△▼
<予約状況・休業日のご案内>
すでに満席になっている日程や休業日とさせて頂いている日もありますので、
ご予約前に予めご確認ください!!
現在の予約状況は下記となっております。
<締め切りの日程>
【2025年】
・12/1~8,27~29
【2026年】
・1/13~2/28
<締め切り間近の日程>
【2025年】
・12/31
【2026年】
・1/1
※予約状況の更新に誤差が生じる場合もございますので、予めご了承ください。
ご不安な場合は、一度お問い合わせください。
・・・
<ホームページ上で、予約状況を確認する方法>
1.ホームページ上の【Reserve ご予約】をクリック!
2.【参加カテゴリー】を選択 → 【参加コース】を選択
3.カレンダーが表示されます。
「〇予約可」は、ご予約が入り始めている状況。
「□リクエスト」は、ご予約の空きが少なくなってきている状況。
「×予約不可」は、満席もしくは休業日です。