その他
2025.11.25
寒暖差!!
- 天気
-
雨、くもり
- 気温
-
最低
20℃
最高24℃
- 風向
-
北
- 水温
-
25℃℃
- 波
-
3m
はいさーい!
りゅういちです!
昨日は、最高気温28℃もあって
暑かったのに….
今日は、最高気温24℃一気に寒くなりました〜🥶
寒暖差で風邪引かないように
防寒対策も必要な時期です!
これから、来島される方も
お忘れずに!!
▼△▼△▼△▼△▼△▼△▼△▼△▼△▼△▼△▼△▼△▼△▼△▼△▼
2025年度からの新しいご案内がございます。あらかじめご確認お願い致します。
◆<デジタル化の導入>
▼△▼△▼△▼△▼△▼△▼△▼△▼△▼△▼△▼△▼△▼△▼△▼△▼△▼△
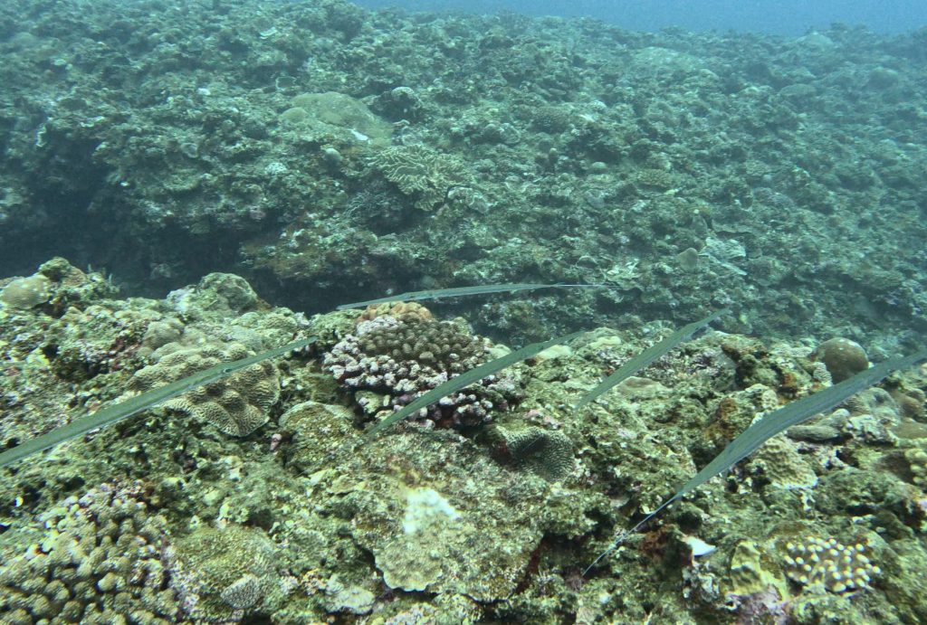
今日は、強い北風小僧が来たので
石垣島の東エリアへ〜🚢
透明度も悪くなく
のんびり潜れました〜!

久々のクマノミ城!!
まだまだ、沢山居ました!!
今回は18匹!!

こっちのエリアは
ソフトコーラルが多いんです!
周りに魚もいるので
一緒に撮るといい絵に!

綺麗なお尻サンゴ♡ (笑)

ここのポイントで割と見られる
レアなクラカケチョウチョウウオ!

なんと、別の場所に
もう1個体!!
ラッキー!!

沖合には、グルクンと〜

ハナゴイが群れていました!!
見応え抜群!!

アオヤガラが群れている!?
全部で8匹もいました!

巨大なナポレオンにも
会えました!!

最後にお楽しみのランチタイム〜🍙
今日は、鶏もも肉柚子胡椒うどん&秋鮭おにぎりでした!

今日もいい1日でした!
明日も楽しく、のんびり、安全第一で行ってきます!
・
それではまた!
▼△▼△▼△▼△▼△▼△▼△▼△▼△▼△▼△▼△▼△▼△▼△▼△▼△▼
以前、新しく水色のTーシャツを作りましたが、ありがたいことに大好評で残りわずかになりました!
ありがとうございます😊
あまりにも好評でしたので、新しく違うカラーで作りましたー!!
今回はオリーブ色です!
・
欲しい方はスタッフまで~(≧▽≦)

▼△▼△▼△▼△▼△▼△▼△▼△▼△▼△▼△▼△▼△▼△▼△▼△▼△▼
いつもMOSS DIVERSをご利用頂き、誠にありがとうございます。
おかげさまで「2025年3月13日」にモスダイバーズは10周年記念を迎えます。
感謝の気持ちを込めて、10周年記念キャンペーンを企画しました!!
・・
第一弾!キャンペーンの発表はコチラです。 ↓ ↓ ↓
大好評につき2025年もやります!!
レンタル器材無料キャンペーン!!
対象期間:2025年3月1日〜2025年12月26日
■ 3月1日 〜 4月25日
■ 5月7日 〜 6月12日
■ 7月22日 〜 8月7日
■ 8月18日 〜 8月31日
■ 9月 月曜日〜木曜日 (祭日除く)
■ 10月 月曜日〜木曜日 (祭日除く)
■ 11月4日 〜 11月13日
■ 11月25日 〜 12月26日
・・・
通常、器材フルレンタル1日/ ¥5,500(税込)が 0円に!!!
2日間のご利用で 器材フルレンタル ¥11,000(税込)が 0円に!!!
超お得!!この機会にぜひご利用ください!!
※その他の日程は対象外となっております。
お願い/注意事項
■ お支払いは現金精算のみとさせて頂きます。
■ 器材の数に限りがありますので先着5名様とさせて頂きます。
■ ポイントカードや他の割引との併用はできません。
■ HP<予約フォーム>からのご予約お申込みされたお客様のみ対象となります。
■ ダイビングコンピューター・水中ライトは含まれません。
▼△▼△▼△▼△▼△▼△▼△▼△▼△▼△▼△▼△▼△▼△▼△▼△▼△▼
<予約状況・休業日のご案内>
すでに満席になっている日程や休業日とさせて頂いている日もありますので、
ご予約前に予めご確認ください!!
現在の予約状況は下記となっております。
<締め切りの日程>
【2025年】
・12/2~8,27~29
【2026年】
・1/13~2/28
<締め切り間近の日程>
【2025年】
・12/31
【2026年】
・1/1
※予約状況の更新に誤差が生じる場合もございますので、予めご了承ください。
ご不安な場合は、一度お問い合わせください。
・・・
<ホームページ上で、予約状況を確認する方法>
1.ホームページ上の【Reserve ご予約】をクリック!
2.【参加カテゴリー】を選択 → 【参加コース】を選択
3.カレンダーが表示されます。
「〇予約可」は、ご予約が入り始めている状況。
「□リクエスト」は、ご予約の空きが少なくなってきている状況。
「×予約不可」は、満席もしくは休業日です。