その他
2025.11.04
振り返ればカメがいる。
- 天気
-
雨/曇り/晴れ
- 気温
-
最低
23℃
最高28℃
- 風向
-
東
- 水温
-
25~26℃
- 波
-
3m

雨&雲多めのスタートでしたが、昼間には太陽が出てくれましたー!!
ポカポカ陽気、やったね!!
▼△▼△▼△▼△▼△▼△▼△▼△▼△▼△▼△▼△▼△▼△▼△▼△▼
2025年度からの新しいご案内がございます。あらかじめご確認お願い致します。
◆<デジタル化の導入>
▼△▼△▼△▼△▼△▼△▼△▼△▼△▼△▼△▼△▼△▼△▼△▼△▼△▼△
東寄りの風なので、島影になる石垣島周りのポイントへ!
水温が25℃後半の場所があった・・・(;’∀’)
南のエリアより水温低いですね~
寒がりの方は、5mmフードベストもしくはロクハンの時期ですよー!いや、ドライでもいいのかも!
私はまた一段階あげてセミドライに変更だな。(笑)

ポイントは透明度GOODでしたね~♪
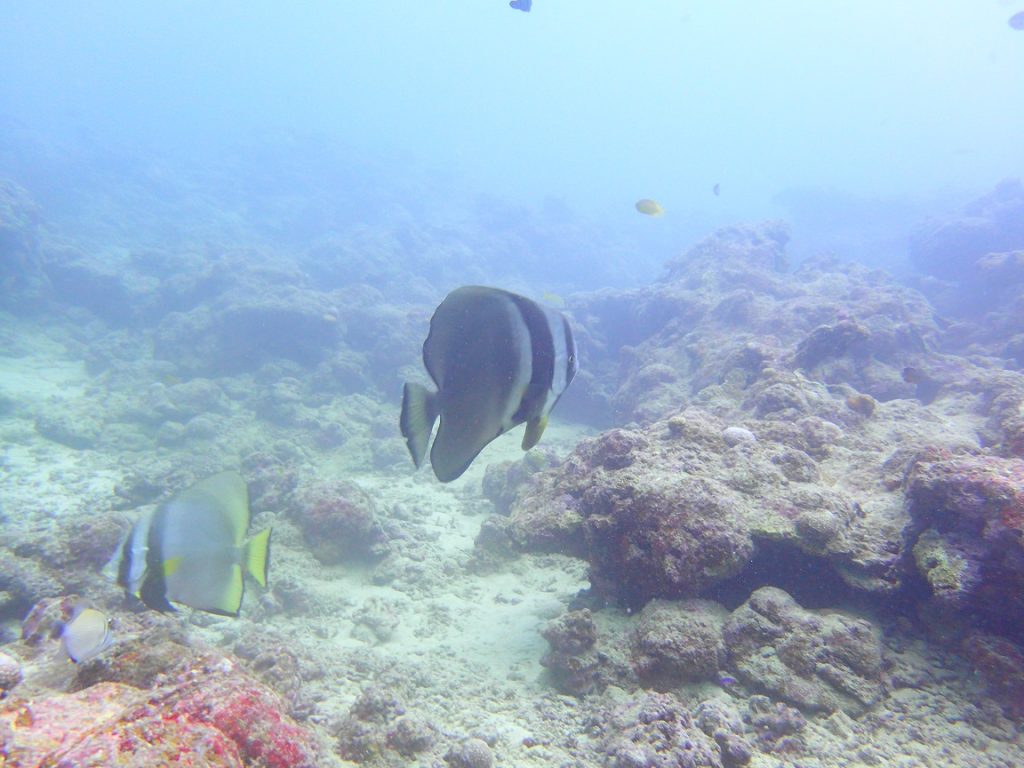
アカククリbabyは健在していたし、カメポイントは大当たり!!
「振り返ればカメがいる」状態でした(≧▽≦)

大人のアカククリのクリーニングステーションにいくと、
ツバメウオがいるやん!

たま~に混ざってるんですよね~って船上で話していたばかり!
やたらとアカククリに絡んでいましたが、スルーされていました(笑)

ハゼと共生エビのやりとりを観察してみたり。
今日見ていたハゼはなかなかの鈍感さんのようで、私達が大接近してもエビに危険を知らせないので、せっせと穴掘りしているエビちゃんをマジマジと観察できました。

今日も少人数でま~ったりダイブでしたとさ♪
・・
今日のランチは「鶏もも肉柚子胡椒うどんと秋鮭おにぎり」でした。

明日ものんびりいってきまーす!
それではまた~
それではまた!
▼△▼△▼△▼△▼△▼△▼△▼△▼△▼△▼△▼△▼△▼△▼△▼△▼△▼

残りわずかです!!欲しい方はスタッフまで~(≧▽≦)
▼△▼△▼△▼△▼△▼△▼△▼△▼△▼△▼△▼△▼△▼△▼△▼△▼△▼
いつもMOSS DIVERSをご利用頂き、誠にありがとうございます。
おかげさまで「2025年3月13日」にモスダイバーズは10周年記念を迎えます。
感謝の気持ちを込めて、10周年記念キャンペーンを企画しました!!
・・
第一弾!キャンペーンの発表はコチラです。 ↓ ↓ ↓
大好評につき2025年もやります!!
レンタル器材無料キャンペーン!!
対象期間:2025年3月1日〜2025年12月26日
■ 3月1日 〜 4月25日
■ 5月7日 〜 6月12日
■ 7月22日 〜 8月7日
■ 8月18日 〜 8月31日
■ 9月 月曜日〜木曜日 (祭日除く)
■ 10月 月曜日〜木曜日 (祭日除く)
■ 11月4日 〜 11月13日
■ 11月25日 〜 12月26日
・・・
通常、器材フルレンタル1日/ ¥5,500(税込)が 0円に!!!
2日間のご利用で 器材フルレンタル ¥11,000(税込)が 0円に!!!
超お得!!この機会にぜひご利用ください!!
※その他の日程は対象外となっております。
お願い/注意事項
■ お支払いは現金精算のみとさせて頂きます。
■ 器材の数に限りがありますので先着5名様とさせて頂きます。
■ ポイントカードや他の割引との併用はできません。
■ HP<予約フォーム>からのご予約お申込みされたお客様のみ対象となります。
■ ダイビングコンピューター・水中ライトは含まれません。
▼△▼△▼△▼△▼△▼△▼△▼△▼△▼△▼△▼△▼△▼△▼△▼△▼△▼
<予約状況・休業日のご案内>
すでに満席になっている日程や休業日とさせて頂いている日もありますので、
ご予約前に予めご確認ください!!
現在の予約状況は下記となっております。
<締め切りの日程>
【2025年】
・12/2~8,27~29
【2026年】
・1/13~2/28
<締め切り間近の日程>
【2025年】
・12/31
【2026年】
・1/1
※予約状況の更新に誤差が生じる場合もございますので、予めご了承ください。
ご不安な場合は、一度お問い合わせください。
・・・
<ホームページ上で、予約状況を確認する方法>
1.ホームページ上の【Reserve ご予約】をクリック!
2.【参加カテゴリー】を選択 → 【参加コース】を選択
3.カレンダーが表示されます。
「〇予約可」は、ご予約が入り始めている状況。
「□リクエスト」は、ご予約の空きが少なくなってきている状況。
「×予約不可」は、満席もしくは休業日です。